It is only the 11th time on record that three hurricanes have been active in the Atlantic at the same time
At the time of writing, Hurricanes Florence, Helene and Isaac are all active in the Atlantic Ocean.
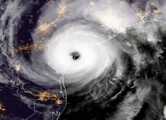
It was initially feared Florence may head towards Europe, but while the exact path of the storm is still not determined, it has lead to several states on the east coast of America to declare a state of emergency in preparation for the storm making landfall there.
Forecasts are predicting Hurricane Helene will steer off into the central Atlantic and pose no real threat to land, Hurricane Isaac is currently on course to collide with the Caribbean, the Lesser Antilles, Barbados, Antigua and possibly Puerto Rico.
This is only the eleventh time on record that three hurricanes have been active in the Atlantic at the same time, with the other years being 1893, 1926, 1950, 1961, 1967, 1980, 1995, 1998, 2010, and 2017.
That most recent time was just last year, when Hurricanes Irma, Jose and Maria all reached hurricane status at the same time, and the aftermath of both Irma and Maria are still being felt in the Caribbean and Florida.
Astronaut Ricky Arnold – who is currently on board the Space Station – tweeted out images of the three hurricanes from his point of view:
Hurricane #Florence this morning as seen from @Space_Station. A few moments later, #Isaac & the outer bands of #Helene were also visible. pic.twitter.com/WJQfS4au4m
— Ricky Arnold (@astro_ricky) September 10, 2018
